Das Rathaus ist am kommenden Freitag aufgrund des Bückentages geschlossen!
Das Rathaus ist am kommenden Freitag aufgrund des Bückentages geschlossen!
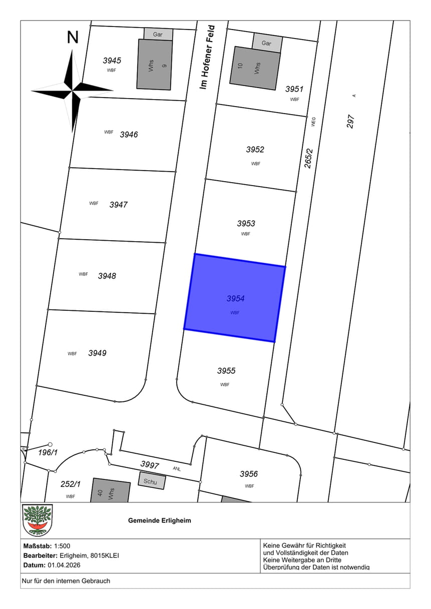
Ausschreibung für einen Bauplatz im Baugebiet „Aichert Nord“ in Erligheim
Die Gemeinde Erligheim veräußert den Bauplatz Flurstück 3954 im Baugebiet „Aichert Nord“, 411 m² zum Preis von 425 €/m². Für den Bauplatz gelten die Festsetzungen des Bebauungsplans „Aichert Nord, 1. Änderung“.
Bewerbungen können bis 26.05.2026 eingereicht werden.
